Cory A. Roberts, MD
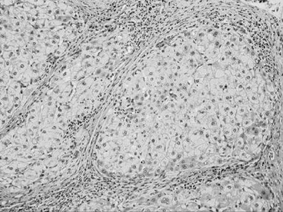
What liver condition is being demonstrated in the figure below? In this condition, what type of collagen is deposited to an excessive degree and what cell is its source?

Figure 51-1
Cirrhosis. Collagen of types I and III produced by the Ito cell. The Ito cell functions as a storage vehicle, metabolizes vitamin A, and aids in the production of collagen.
In ischemic liver injury, what general pattern of necrosis would be expected?
Centrilobular necrosis. The pericentral region of the lobule (zone 3 of the acinus) is farthest from the blood supply and most susceptible to ischemic injury.
What zone of the liver acinus is characteristically involved in acetaminophen toxicity?
Zone 3.
How does the pattern of necrosis in acute viral hepatitis B compare to that seen in acute viral hepatitis A infection?
The necrosis in acute hepatitis B infection typically is centered in zone 3, whereas necrosis in acute hepatitis A characteristically involves zone 1.
What specific mushroom is classically associated with liver toxicity and fulminant hepatic failure?
Amanita phalloides.
In mushroom poisoning, what zone of the acinus would you expect to see necrosis?
Zone 1.
The presence of noncaseating granulomas that are characterized by a “fibrin ring” pattern in the center should raise the diagnostic possibility of what rare type of hepatitis?
Q-fever hepatitis caused by Coxiella burnetii. This histologic lesion is sometimes referred to as a “doughnut” granuloma.
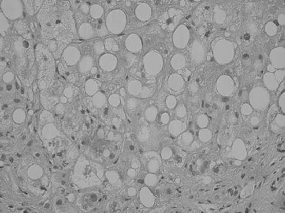
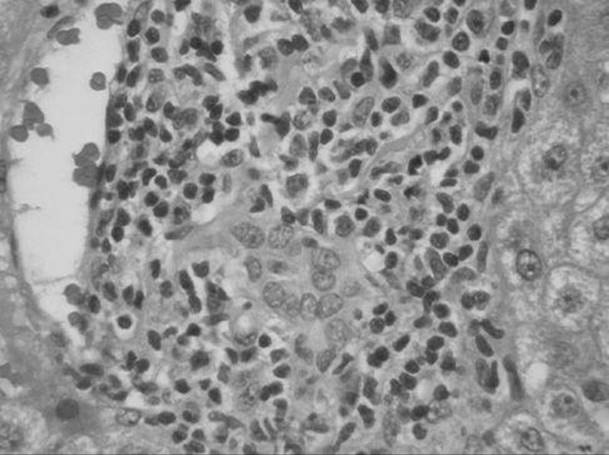
A 46-year-old man who admits to drinking “3 or 4 beers a day” presents with jaundice, right upper quadrant abdominal pain, and fever. A liver biopsy was eventually performed and is shown below. What is the most likely diagnosis?

Figure 51-2
Alcoholic hepatitis. Typical features of alcoholic hepatitis include Mallory’s hyaline, which is an eosinophilic inclusion within hepatocytes that stains with ubiquitin, neutrophils surrounding individual degenerating hepatocytes, sclerosing hyaline necrosis, and steatosis, predominantly macrovesicular.
True/False: Mallory bodies or Mallory’s hyaline are pathognomonic for alcoholic hepatitis.

Figure 51-3
False. Few things in pathology are pathognomonic. Mallory bodies can be seen in many diseases including nonalcoholic steatohepatitis (NASH), Wilson’s disease, primary biliary cirrhosis (PBC), and amiodarone toxicity.
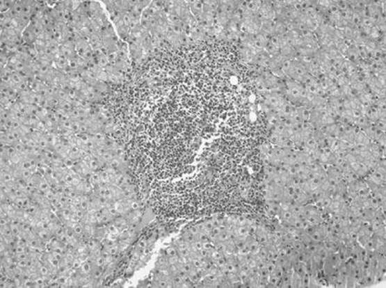
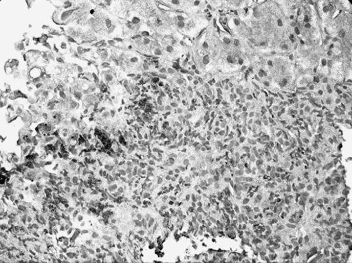
The liver biopsy specimen shown in the figure below is described in the pathology report as having nodular lymphocytic portal infiltrates, some with germinal centers. This is most suggestive of what type of viral hepatitis?

Figure 51-4
Hepatitis C. The presence of a portal area with a lymphoid aggregate or a follicle with a germinal center in a liver specimen with other features of chronic hepatitis is most suggestive of chronic hepatitis C. It should be noted that hepatitis C is notable for sometimes having some degree of bile duct involvement/injury. This can make the distinction between recurrent hepatitis C and allograft rejection difficult in some liver transplant biopsies.
What two items must be described in a liver biopsy pathology report when making the diagnosis of chronic hepatitis?
Grade and stage. The degree of inflammatory activity is referred to as the grade and the amount of fibrosis as the stage. Of course, the etiology is also included if known.
What subtype of cirrhosis (micronodular or macronodular) is classically associated with alcoholic liver disease?
Micronodular.
In general, what is included in the differential diagnosis of micronodular cirrhosis?
Alcoholic liver disease (Laennec’s cirrhosis), PBC, hemochromatosis, NASH, Indian childhood cirrhosis, galactosemia, and glycogenosis type IV.
What are some conditions associated with macronodular cirrhosis?
Viral hepatitis, alpha-1 antitrypsin deficiency (A1AD), hereditary tyrosinemia, Wilson’s disease, and some drug injury.
What are the causes of peliosis hepatis?
Peliosis hepatis refers to the presence of multiple large blood-filled spaces within the liver that lack an endothelial lining. Causes of peliosis hepatis include treatment with anabolic or androgenic steroids and tamoxifen, history of Thorotrast use, elevated levels of vitamin A, and infection with Bartonella henselae.
A 36-year-old woman presents with chronic hepatitis and is found to have an HLA B8 haplotype, liver/kidney microsomal antibodies, and elevated levels of serum IgG. Her liver biopsy is shown below. What is the most likely diagnosis?

Figure 51-5
Autoimmune hepatitis (type 2).
What is the most characteristic inflammatory cell seen in the infiltrate of a chronic autoimmune hepatitis?
Plasma cell.
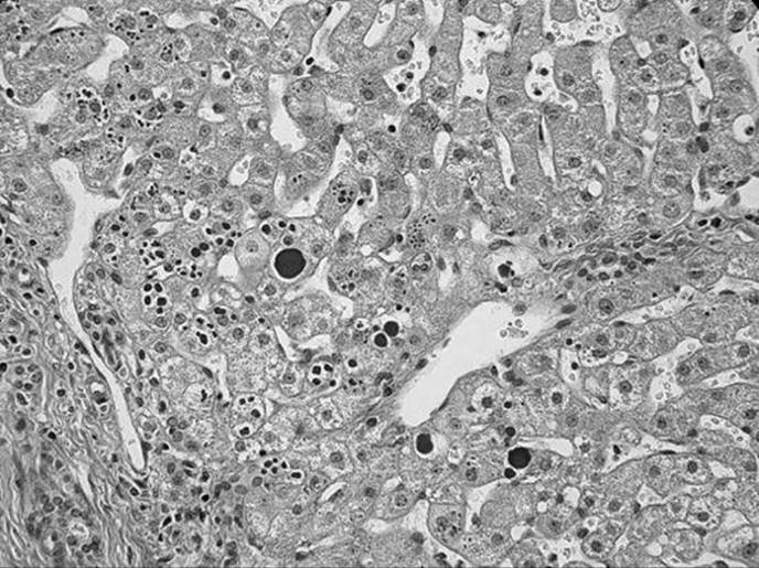
A 45-year-old woman presents with fatigue and pruritus. Laboratory testing is notable only for an elevated alkaline phosphatase. A liver biopsy is performed. What is the diagnosis?

Figure 51-6 See also color plate.
PBC. The biopsy demonstrates a portal granuloma destroying a bile duct in the center of the granuloma at the edge of the tissue (“florid duct lesion”). This woman’s antimitochondrial antibodies were markedly elevated.
Describe the typical histologic features of PBC?
Destruction of small original bile ducts with a portal lymphoplasmacytic infiltrate including lymphoid follicles and even granulomas. There may also be a loss of 50% or more of the original interlobular bile ducts. The fibrosis pattern is often irregular.
What conditions are associated exclusively with microvesicular steatosis?
Reye’s syndrome, acute fatty liver of pregnancy, some drug reactions (eg, valproic acid), toxic shock syndrome, some familial diseases, heatstroke, and overexposure to some toxic chemicals.
What HLA associations are known in primary sclerosing cholangitis (PSC)?
HLA B8, DR3, DR2, and DRw52a. No such HLA associations are described in PBC.
The finding of periductal fibrosis or sclerosis resulting in an “onion skin” pattern in the portal areas is indicative of what disorder?
PSC.
What specific antibody titer may be elevated in patients with PSC?
Perinuclear antineutrophil cytoplasmic antibody (p-ANCA).
A newborn in the neonatal intensive care unit has severe jaundice with an unconjugated bilirubin of 38 mg/dL and otherwise relatively unremarkable liver tests. The diagnosis is made and the geneticist reminds you that it is an autosomal recessive disease. What is the diagnosis?
Crigler–Najjar type 1. These patients cannot conjugate bilirubin due to a deficiency of the enzyme uridine diphosphate-glucuronyltransferase.
How can you differentiate between Dubin–Johnson’s and Rotor’s syndromes histologically and grossly?
Dubin–Johnson’s syndrome is characterized by a black discoloration of the parenchyma seen both grossly and histologically. Histologically, the pigment is contained within the hepatocytes in zones 2 and 3. In contrast, Rotor’s syndrome is devoid of pigment and, histologically, the liver may be normal.
Dubin-Johnson’s syndrome and Rotor’s syndrome share a common inheritance pattern. What is it?
Autosomal recessive.
Glucuronyl transferase is deficient or abnormal in what rather innocuous condition?
Gilbert’s syndrome. It is inherited in an autosomal recessive fashion.
Which chemotherapeutic drug and which anti-HIV drug can reach toxic levels in patients with Gilbert’s syndrome?
Irinotecan and idinavir, respectively.
On what chromosome does the defect responsible for Wilson’s disease lie?
Chromosome 13.
What is the hepatic iron index and what value would you expect in a patient with hereditary hemochromatosis?
The hepatic iron index is calculated by taking the hepatic iron concentration in mg/g dry weight, dividing it by 56 (the molecular weight of iron) and dividing that total by the patient’s age. In hemochromatosis, a value greater than 1.9 is characteristic.
True/False: A solitary, unilocular simple cyst of the liver is typically found in the right lobe.
True. They are twice as common in the right lobe.
Describe the two general histologic findings in the liver in a case of carbon tetrachloride toxicity.
Steatosis and centrilobular necrosis.
What is the earliest and most common histologic finding in liver biopsies of alcoholic hepatitis?
Steatosis, predominantly macrovesicular. In addition, pericellular centrilobular fibrosis (“arachnoid” fibrosis), ballooning change of hepatocytes, sclerosing hyaline necrosis, and Mallory hyaline may be present.
In a patient with ethanol-induced steatohepatitis, which histologic feature will likely disappear first if you were to rebiopsy?
The steatosis is typically the first to develop and also the first to resolve.
What is the inheritance pattern of genetic hemochromatosis?
Autosomal recessive. The gene is on the short arm of chromosome 6.
True/False: The risk of development of hepatocellular carcinoma (HCC) in patients with hemochromatosis and cirrhosis is increased.
True. Up to 20% of patients will develop HCC.
True/False: There is an association between hereditary tyrosinemia and HCC.
True. Over one-third of patients who live beyond the age of two will develop HCC, sometimes multifocally.
Foreign, polarizable material is seen in association with a foreign body giant cell reaction within expanded, fibrotic portal areas on a liver biopsy specimen taken from a patient on chronic renal dialysis. What is the foreign material?
Silicon rubber from silastic tubing that is found in hemodialysis equipment. A similar reaction can also be seen from damaged prosthetic devices.
What are some causes of hepatic granulomas or granulomatous hepatitis?
Sarcoidosis, PBC, and drug injury are the most common causes. Other causes include polymyalgia rheumatica, unusual infections including berylliosis and Brucellosis, foreign body reaction, PSC (rarely), systemic infection, and extrahepatic malignancies. Some are also incidental findings not ever explained. Most of the latter are small microgranulomas.
What is the most common parasitic disease involving the liver that can produce a granulomatous response?
Schistosomiasis. This infection can result in the so-called “pipestem fibrosis” of portal areas and/or a granulomatous reaction in the liver.
In amyloidosis involving the liver, where is the amyloid deposited?
It can be found either within the vessel walls or the parenchyma, specifically in the space of Disse with compression of the underlying hepatocytes.
What effect does Budd–Chiari’s syndrome have on the caudate lobe?
The caudate lobe is not usually involved, owing to its unique, separate venous drainage and, in fact, may exhibit compensatory hypertrophy in an attempt to “make up” for the involved liver.
What are some etiologic agents of hepatic VOD?
Ingestion of pyrrolizidine alkaloids, radiation, various cancer chemotherapies, urethane, azathioprine, dacarbazine, and hypervitaminosis A.
What is Banti’s syndrome?
Also referred to as idiopathic portal hypertension, it is characterized by splenomegaly, hypersplenism, and portal hypertension.
What is Zieve’s syndrome?
This refers to the triad of hemolytic anemia occurring in a patient with alcoholic hepatitis who also has hypercholesterolemia.
What typical histopathologic features seen in Budd–Chiari’s syndrome and veno-occlusive disease (VOD) are demonstrated in Figures 51-7A VOD and 15-7B Budd–Chiari’s syndrome?

Figure 51-7
Budd–Chiari’s syndrome is characterized by centrilobular congestion with associated hepatocellular dropout or necrosis. In contrast, VOD is characterized by subendothelial sclerosis of the terminal hepatic venules and intercalated veins with associated “atrophy” of the hepatocytes in the lobules.
True/False: The finding of hemolysis in a young patient with liver failure is strongly suggestive of Wilson’s disease.
True.
What are some causes of NASH?
Type 2 diabetes mellitus, lipodystrophy, obesity, and some drugs such as amiodarone, tamoxifen, and highly active anti-retroviral therapy. Clinical correlation is always necessary.
Differentiate between Caroli’s disease and Caroli’s syndrome.
Caroli’s disease is a developmental condition of intrahepatic cystic dilatation of bile ducts. The lumen of the cystic dilatations can be filled with mucin, bile, or pus if infected. Caroli’s syndrome, which is more common, is Caroli’s disease in association with congenital hepatic fibrosis.
In what fashion is Caroli’s disease inherited?
Autosomal recessive. This is associated with autosomal recessive polycystic kidney disease. The gene is on the short arm of chromosome 6 called polycystic kidney and hepatic disease 1 (PKHD1).
What are some of the main clinical manifestations of congenital hepatic fibrosis?
In general, patients present with hepatosplenomegaly or bleeding from esophageal varices due to portal hypertension. Cholangitis is a less common presenting condition.
What is Meckel’s syndrome?
It is characterized by features that are similar to congenital hepatic fibrosis with the addition of an association with encephalocele, polydactyly, and cystic kidneys.
Name the two most common hepatic complications associated with autosomal dominant polycystic kidney disease.
Infection of the liver cysts is the most frequent complication followed by cholangiocarcinoma.
What are the two genes most commonly mutated in autosomal dominant polycystic kidney disease?
PKD1 (90% of cases) on the short arm of chromosome 16 (16p 13.3) and PKD2 on the long arm of chromosome 4 (4q 21–23).
What is the main gross and histologic difference in the liver in autosomal recessive versus autosomal dominant polycystic kidney disease?
The presence of cysts. In autosomal dominant polycystic kidney disease (AKPKD), the liver is grossly and microscopically cystic and the cysts are fluid filled. The liver in autosomal recessive polycystic kidney disease (ARPKD) is usually grossly normal apart from perhaps some firmness. There are usually no cysts at all. Microscopically there are increased abnormal biliary channels but again no large cysts.
What is a von Meyenburg complex?
This is a localized collection of abnormally dilated bile ducts in a fibrous stroma background. They are generally small (a few millimeters) and are felt to be a part of the spectrum of adult polycystic liver and kidney disease.
Do most people with von Meyenburg complexes have polycystic liver disease?
No. These lesions are common (some 5% of autopsies) but they are usually incidental findings. However, it does appear that they are the progenitor of the larger, dilated cysts that people with polycystic liver and kidney disease develop.
True/False: Most hydatid cysts are located in the left hepatic lobe.
False. In general, most things are more common in the larger right lobe of the liver.
Discuss the clinical and pathologic findings in mesenchymal hamartoma of the liver.
It is a tumor that can be quite large, develops in children (average age < 2, usually male), and is characterized by a loose, connective tissue (myxoid) stroma, hepatic parenchyma with admixed bile ducts and vascular structures. Large cysts can develop. A chromosomal translocation involving the long arm of chromosome 19 (19q 18.4) has been described.
Which of these two benign lesions carries a greater risk of hemorrhage or rupture—focal nodular hyperplasia or hepatocellular adenoma?
Hepatocellular adenoma.
What are some of the associations with nodular regenerative hyperplasia of the liver?
Nodular regenerative hyperplasia is associated with numerous conditions including rheumatoid arthritis; calcinosis, Raynaud’s, esophageal dysmotility, sclerodactyly, and telangiectasia (CREST) syndrome; and other autoimmune diseases. It typically occurs in adults and is sometimes confused with cirrhosis.
Describe the typical patient and clinical presentation of someone with a bile duct cystadenoma (hepatobiliary cystadenoma).
They almost exclusively occur in women, typically in the fourth and fifth decades of life, are usually found in the right lobe of the liver, and often cause abdominal pain owing to their large size. Serum levels of CA19-9 are often elevated.
What special stain can be used to help differentiate histologically between hepatocellular adenoma and HCC?
A reticulin stain. Adenomas are characterized by preservation of the reticulin framework, which defines the one to two cell thick plates, whereas HCC has no such reticulin framework or it is markedly diminished and, therefore, the hepatic plates are much thicker.
Typically an incidental finding and the most common benign tumor of the liver, what lesion is being shown in the figure below?

Figure 51-8
Hemangioma.
What is the most common location of cholangiocarcinoma in the liver?
The right lobe of the liver, although 30% are multifocal.
What is the relationship of serum alpha-fetoprotein (AFP) to cholangiocarcinoma?
None. The vast majority of cholangiocarcinomas have normal serum AFP.
Which histologic type of HCC is characterized histologically by period acid-Schiff (PAS)-positive cytoplasmic inclusions within the tumor cells and dense fibrous strips of stroma investing sheets of tumor cells?
The fibrolamellar variant.
What are some of the unusual patient characteristics in fibrolamellar variant of HCC compared to typical HCC?
The patients are younger (> 40 years of age is rare), it is fairly evenly distributed between men and women (typical HCC is two to five times more common in men), and has a far better prognosis.
In general, which is more suggestive of HCC, detection of serum AFP or immunoperoxidase stain reactivity for AFP in tissue sections?
A markedly elevated serum AFP is much more suggestive. The reported sensitivity of AFP positivity in tissue sections varies widely but is low and can be detected in adenocarcinomas of other origins.
A biopsy of a liver mass from a 14-month-old boy shows a tumor with bone formation, cartilage, and a fetal epithelial component that resembles fetal hepatocytes. What is your diagnosis?
Hepatoblastoma (mixed type).
Which histologic type of HCC occurs in young adults or adolescents, is not associated with cirrhosis, has a better prognosis, and is not associated with an elevated serum AFP?

Figure 51-9
Fibrolamellar HCC. Interestingly, in contrast to many of the other lesions we have discussed, it is more common in the left lobe of the liver. Unlike typical or traditional HCC, fibrolamellar HCC is also not associated with hepatitis B or alcohol abuse. Note the histology shown above demonstrating the thick fibrous bands within the tumor.
What is the gross appearance of an epithelioid hemangioendothelioma of the liver?
They are typically multicentric, involve both lobes of the liver, and are firm and white-tan in color. Although both epithelioid hemangioendothelioma and angiosarcoma can be multifocal, the firm, white-tan appearance of the former is quite different than the hemorrhagic appearance of the latter.
What are the typical demographics and presentation of a patient with epithelioid hemangioendothelioma?
It is more common in females in the sixth decade of life. The presenting symptoms are nonspecific but include pain and jaundice. Although the tumor grows slowly, it has a 5-year survival of about 50%. Liver transplantation has been used to prolong survival.
A 3-year-old boy presents with abdominal “swelling.” Subsequently, a 15-cm liver mass is identified and the serum AFP is elevated. Liver biopsy is shown below. What is the most likely diagnosis?

Figure 51-10
Hepatoblastoma, the most common malignancy in children. Seventy-five percent of patients are male and 90% occur before the fifth year of life.
What rare liver tumor has been associated with exposure to Thorotrast, vinyl chloride monomer, arsenic, and anabolic steroids, and represents the most common primary sarcoma of the liver?
Angiosarcoma.
What are the histologic features of acute graft-versus-host disease involving the liver?
The most noteworthy finding is that of damage to the bile ducts. In addition, individual hepatocyte necrosis may occur and endotheliitis may be present. It is very similar to acute allograft rejection.
True/False: Chronic graft-versus-host disease can occur in the absence of previous acute graft-versus-host disease.
True. This occurs in about a quarter of the cases.
In bone marrow transplant patients who develop chronic graft-versus-host disease, and how frequently is the liver involved?
Up to 60% of the time.
A patient is status post bone marrow transplant and undergoes liver biopsy. The biopsy demonstrates increased stainable iron both in hepatocytes and in Kupffer cells with the latter predominating. What is the most likely etiology?
This is a frequent finding in anyone that has received numerous blood transfusions, such as a bone marrow transplant patient. It is referred to as siderosis.
Two liver biopsies are taken, each from a different patient, but they are not labeled. One patient has hemochromatosis and the other has aplastic anemia. One biopsy shows markedly increased iron predominantly in Kupffer cells and the other shows increased iron primarily in hepatocytes. Which is the biopsy from the hemochromatosis patient?
Iron primarily in hepatocytes is typical of hemochromatosis, whereas iron found primarily in Kupffer cells is typical of transfusion-related iron overload.
What is the inheritance pattern and most common mutation of classic hereditary hemochromatosis?
It has an autosomal recessive inheritance. The mutation in 80% of the cases is C282Y. H63D is the next most common mutation and as a heterozygote with C282Y can also manifest disease effects.
What substance usually binds to and detoxifies acetaminophen within the liver and becomes overwhelmed in cases of acetaminophen toxicity?
Glutathione.
True/False: B-lymphocytes are responsible for attacking the bile duct shown in this case of acute (cellular) rejection of a liver allograft.

Figure 51-11
False. T-lymphocytes are responsible.
What percentage of patients with A1AD characterized by a PiZZ (homozygote) phenotype have demonstrable liver disease?
Less than 20%; however, 100% will have PAS-positive, diastase-resistant globules within the cytoplasm of hepatocytes.
How is it possible for a patient with A1AD to show a normal serum A1A?
A1A is an acute phase reactant. Therefore, inflammation of the liver or elsewhere can increase the serum levels. In a heterozygote with A1A, the serum level may actually be raised to normal or low-normal levels during the acute phase of inflammation.
What are the typical histologic features of acute allograft rejection in the liver?

Figure 51-12
Acute rejection is characterized by a portal infiltrate composed of T-lymphocytes and eosinophils, which are generally centered around the bile ducts and portal vein. The ducts show damage (nuclear loss or vacuolated cytoplasm) and often focal infiltration by the lymphocytes. Endotheliitis is usually present involving the portal vein and characterized by subendothelial inflammatory cells causing prominence of the endothelial cells.
What etiologic agent is most likely responsible for the hepatitis demonstrated in this biopsy from a 32-year-old liver transplant recipient, which shows cells with intranuclear and intracytoplasmic inclusions?

Figure 51-13
Cytomegalovirus. CMV hepatitis is characterized by hepatocytes, which contain both intranuclear and intracytoplasmic viral inclusions.
A 13-year-old boy presents with jaundice and evidence of liver failure and hemolysis. Liver biopsy is shown below. What is the diagnosis? What stain is shown?

Figure 51-14 See also color plate.
Wilson’s disease. Copper stain.
What is the liver disorder demonstrated in the following figure? What stain is shown?

Figure 51-15 See also color plate.
Hemochromatosis. Prussian blue (iron stain). Note the panlobular staining in the hepatocytes.
In the figure below, what diagnosis is most likely and what stain(s) would you use to confirm or disprove it?

Figure 51-16 See also color plate.
A1AD. This biopsy shows eosinophilic globules within periportal hepatocytes. If it is A1AD, the globules will be PAS-positive and resist diastase digestion. Hence, a PAS and a PAS with diastase should be ordered. There is also an immunohistochemical stain for AID that would also be expected to be positive in the case of A1AD.
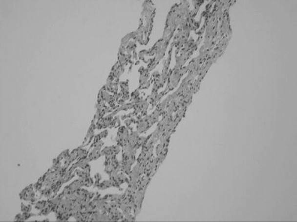
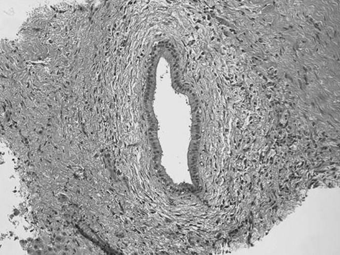
The liver biopsy below is taken from a 45-year-old man and your pathologist calls you excitedly to say that the biopsy shows a “classic onion skin lesion.” What is the diagnosis?

Figure 51-17 See also color plate.
PSC. The affected ducts are typically larger, medium-sized ducts, which is why this can be very difficult to diagnose on a needle biopsy simply due to sampling.
True/False: It is uncommon for patients with PSC to have concomitant ulcerative colitis (UC).
False. These two conditions coexist 70% of the time; however, patients with UC have concomitant PSC in less than 5% of cases.
What gallbladder lesion is characterized by histologically normal epithelial crypts, which exist amidst a hyperplastic muscularis?
Adenomyosis. When localized to the fundus, it is called an adenomyoma although that term is somewhat misleading as it is not a true neoplasm.
A 43-year-old man presents with a liver mass that shows an abnormal vasculature (prominent arteries) and a central scar in an otherwise normal appearing liver. What is the most likely diagnosis?
Focal nodular hyperplasia.
• • • SUGGESTED READINGS • • •
Scheuer PJ, Lefkowitch JH, eds. Liver Biopsy Interpretation. 7th ed. Philadelphia: Elsevier Saunders; 2006.
Burt AD, Portmann BC, Ferrell LD, eds. MacSween’s Pathology of the Liver. 5th ed. Philadelphia: Churchill Livingstone Elsevier; 2007.